Redacción. El huracán Erick impactó el sur de México, dejando un rastro de destrucción y, lamentablemente, cobró la vida de al menos un menor de edad y un adulto.
El fenómeno también causó significativos daños materiales en comunidades costeras, sumiendo a sus habitantes en la desesperación.
El gobierno del estado de Oaxaca confirmó la primera víctima fatal: un hombre que murió electrocutado mientras ayudaba en tareas de remoción de escombros. La tragedia ocurrió en el municipio de San Pedro Pochutla, cuando la víctima manipuló accidentalmente cables de alta tensión en la zona de un arroyo crecido.
En el vecino distrito de Guerrero, las autoridades de Protección Civil informaron sobre otra desgarradora pérdida. Se trata de un menor que falleció en la localidad de San Marcos tras ser arrastrado por un arroyo. Según información preliminar, la madre intentó cruzarlo con él en brazos.

Le puede interesar – Huracán Erick impacta el oeste de México como categoría 3
Debilitamiento
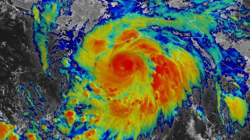
Según el último reporte del Centro Nacional de Huracanes (CNH) de Estados Unidos, el Erick tocó tierra en la costa de Oaxaca, cerca de los límites con Guerrero. Pocas horas antes de su impacto, el fenómeno había alcanzado brevemente la categoría 4, mostrando una intensidad que generó gran preocupación. Para la noche del jueves, se había debilitado a un sistema de baja presión, ubicado a 155 kilómetros del puerto de Acapulco, con vientos sostenidos de 45 km/h.

Comunidades costeras como Lagunas de Chacahua, en Oaxaca, con unos 2,800 habitantes, sufrieron directamente el embate del meteoro. La presidenta Claudia Sheinbaum informó en su conferencia matutina que se esperan aún intensas lluvias. Principalmente en los estados de Guerrero, Oaxaca y Chiapas, además de Veracruz y Puebla.
El Gobierno habilitó cientos de albergues y desplegó más de 30.000 elementos de seguridad para preparar y apoyar a la población ante el peligro del ciclón.


